- Accueil
- Vente
- Sebastopol
- TERRAIN AGRICOLE EN VENTE À SEBASTOPOL, FLACQ
Référence : 2510038EG
Calculette
Partager
TERRAIN AGRICOLE EN VENTE À SEBASTOPOL, FLACQ
Description de l'offre
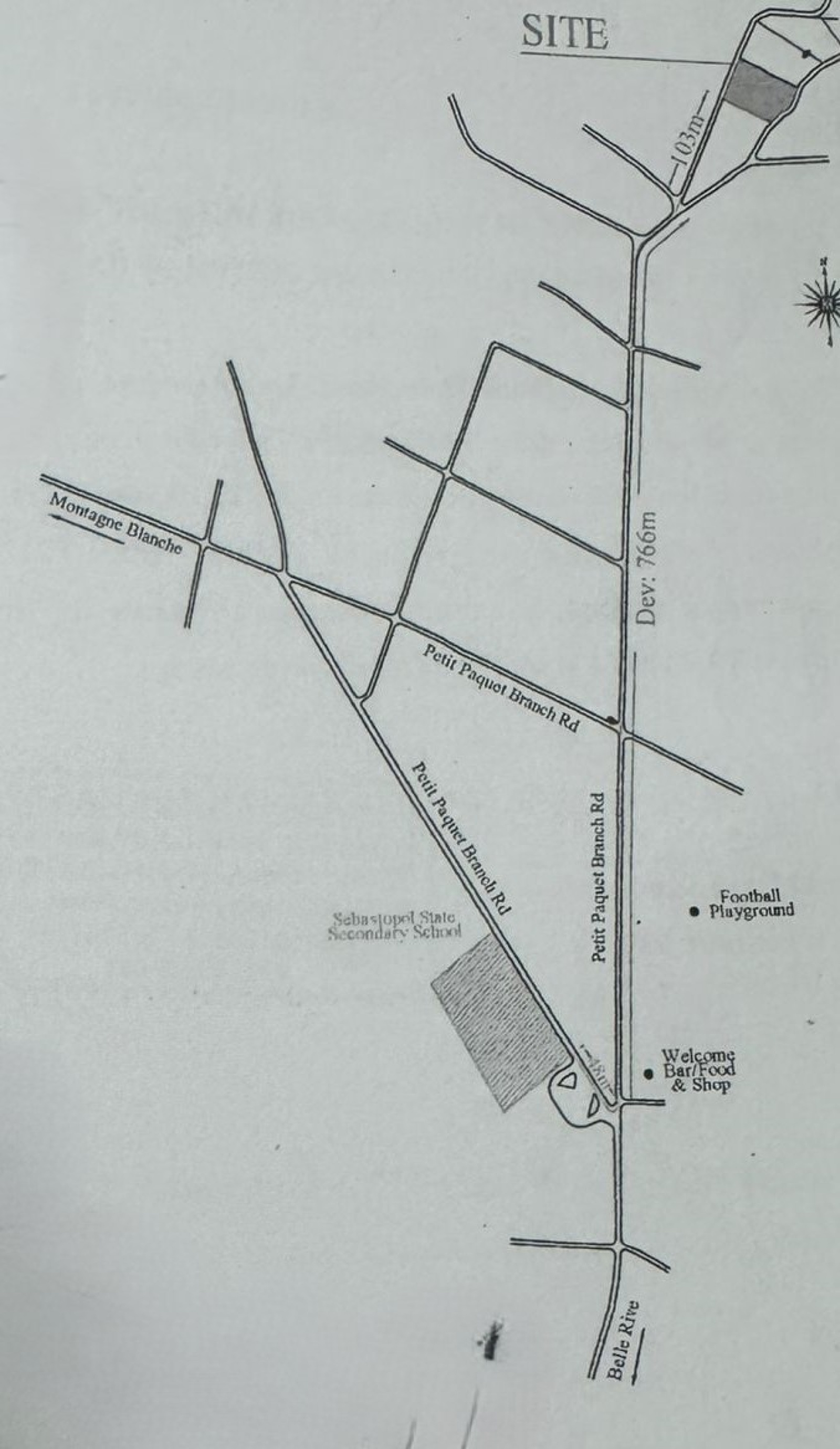
Ce terrain agricole de 50 perches (2 110,50 m²) à Sébastopol représente une opportunité exceptionnelle pour les passionnés d’agriculture et d’élevage. Idéal pour la culture, l’élevage de volailles ou le développement de projets hydroponiques, il bénéficie d’un sol fertile offrant un excellent potentiel pour des activités variées. De plus, il est proche de toutes les commodités essentielles, facilitant l’accès aux services nécessaires. Investissez dans un secteur prometteur et exploitez pleinement le potentiel de ce terrain à fort rendement. Le prix de vente est de Rs 1 500 000. Pour plus de renseignements ou pour organiser une visite, veuillez contacter Hykone Ltd.
Descriptif du bien
- Code postal : 42107
- surface terrain : 2 110,50 m²
- Exposition : EST
La ville de Sebastopol (42107)
Elsa Granveau
elsa.vaulting.mauritius@hotmail.comLes informations recueillies sur ce formulaire sont enregistrées dans un fichier informatisé par La Boite Immo agissant comme Sous-traitant du traitement pour la gestion de la clientèle/prospects de l'Agence / du Réseau qui reste Responsable du Traitement de vos Données personnelles.
La base légale du traitement repose sur l'intérêt légitime de l'Agence / du Réseau.
Elles sont conservées jusqu'à demande de suppression et sont destinées à l'Agence / au Réseau.
Conformément à la loi « informatique et libertés », vous disposez des droits d’accès, de rectification, d’effacement, d’opposition, de limitation et de portabilité de vos données. Vous pouvez retirer votre consentement à tout moment en contactant directement l’Agence / Le Réseau.
Consultez le site https://cnil.fr/fr pour plus d’informations sur vos droits.
Si vous estimez, après avoir contacté l'Agence / le Réseau, que vos droits « Informatique et Libertés » ne sont pas respectés, vous pouvez adresser une réclamation à la CNIL.
Nous vous informons de l’existence de la liste d'opposition au démarchage téléphonique « Bloctel », sur laquelle vous pouvez vous inscrire ici : https://www.bloctel.gouv.fr
Dans le cadre de la protection des Données personnelles, nous vous invitons à ne pas inscrire de Données sensibles dans le champ de saisie libre.
Ce site est protégé par reCAPTCHA, les Politiques de Confidentialité et les Conditions d'Utilisation de Google s'appliquent.
